Ураганот „Ерин“ се засили до четврта категорија
- „Се очекува дополнително зајакнување во текот на следните 12 часа, по што ќе следи постепено слабеење“, соопшти НЦУ.
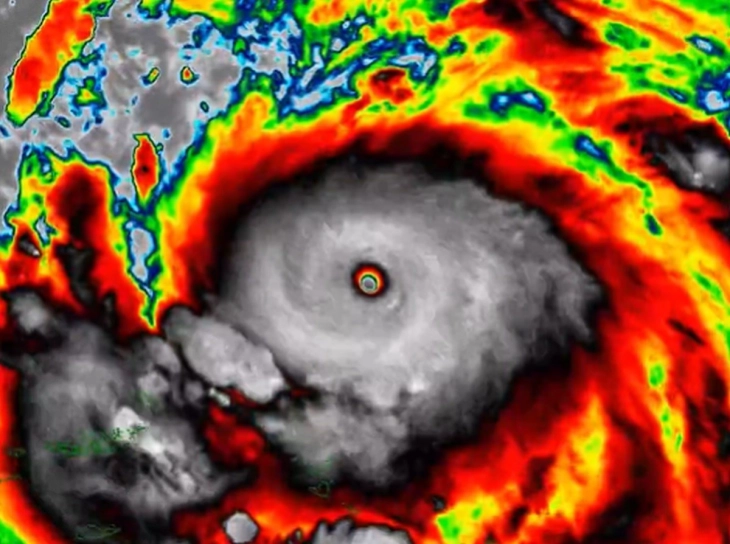
Мајами, 18 август 2025 (МИА) - Ураганот „Ерин“ денеска се засили до четврта категорија, според Американскиот национален центар за урагани (НЦУ), кој оваа недела издаде предупредување за опасни подводни струи долж источниот брег на САД, објавија британските медиуми.
Ураганот се наоѓа на околу 1.555 км југоисточно од Кејп Хатерас, Северна Каролина.
„Се очекува дополнително зајакнување во текот на следните 12 часа, по што ќе следи постепено слабеење“, соопшти НЦУ.сд/
фото:Х
Apparently the Puerto Rican frogs are big fans of Hurricane #Erin 🐸🌀
— WeatherNation (@WeatherNation) August 17, 2025
The coqui frogs were having a LOUD discussion yesterday as Erin's outer bands were lashing the island with rain and wind.
It's also possible they didn't like Erin but we don't speak frog... #PRwx pic.twitter.com/Dj0ZU0KC0b