Uragani "Melisa" arrin në kategorinë e pestë, ndikim më i fortë pritet në Xhamajkë
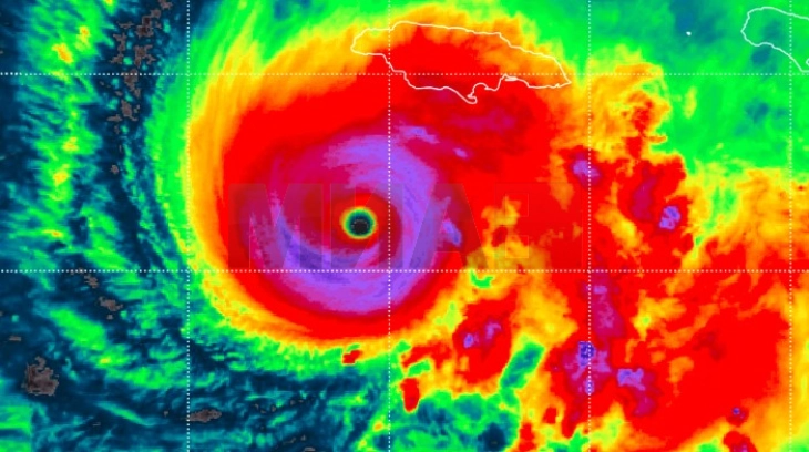
- Uragani "Melisa", i cili po i afrohet Xhamajkës, sot arriti kategorinë e pestë, më të fortë të shkatërrimit dhe pritet në këtë shtet ishullor në Detin e Karaibeve të shkaktojë përmbytje katastrofike, rrëshqitje toke dhe dëme.
- Post By Ajrije Rexhepi
- 21:02, 27 tetor, 2025
Kingston, 27 tetor 2025 (MIA) - Uragani "Melisa", i cili po i afrohet Xhamajkës, sot arriti kategorinë e pestë, më të fortë të shkatërrimit dhe pritet në këtë shtet ishullor në Detin e Karaibeve të shkaktojë përmbytje katastrofike, rrëshqitje toke dhe dëme.
Autoritetet e Xhamajkës kanë urdhëruar popullsinë të evakuohet, duke paralajmëruar se koha për t'u përgatitur për ndikimin e elementit "pothuajse ka mbaruar".
Sipas mediave, "Melisa" do të jetë uragani më i fortë që do të godasë ishullin që nga fillimi i mbajtjes së të dhënave në vitin 1851. Uragani i mëparshëm më shkatërrues që ka goditur Xhamajkën ishte ai i "Gilbertit" në vitin 1988, i cili mori 40 viktima.
"Melisa" ka marrë tashmë gjashtë jetë njerëzish në Karaibe, ndërsa i afrohet ishullit, ku do të zbarkojë nesër. Pritet të arrijë edhe në Kubë më vonë gjatë ditës dhe pastaj të drejtohet për në Bahamas. Nuk pritet të arrijë në bregdetin e SHBA-së.
Në Xhamajkë, popullata në shtatë zona iu urdhërua të evakuohen. Megjithatë, disa njerëz vendosën të qëndronin në vend. Fuqia e "Melisës" u nda gjatë fundjavës.