• e shtunë, 06 dhjetor 2025
Mickoski: Më 2 nëntor dilni të votoni që të mund t'i vazhdojmë projektet reformuese në Zërnovc dhe Çeshinovë-Obleshevë

Mickoski: Më 2 nëntor dilni të votoni që të mund t'i vazhdojmë projektet reformuese në Zërnovc dhe Çeshinovë-Obleshevë

 Shkup, 27 tetor 2025 (MIA) - Më 2 nëntor të dalim masivisht dhe të votojmë sipas bindjeve tona...

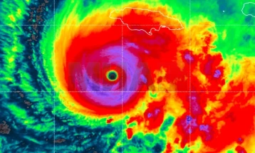
Uragani

Uragani "Melisa" arrin në kategorinë e pestë, ndikim më i fortë pritet në Xhamajkë

 Kingston, 27 tetor 2025 (MIA) - Uragani "Melisa", i cili po i afrohet Xhamajkës, sot arriti ka...

Mickoski: Të dielën të dalim masivisht në zgjedhje, qëndrimi në shtëpi është opsioni më i keq

Mickoski: Të dielën të dalim masivisht në zgjedhje, qëndrimi në shtëpi është opsioni më i keq

 Probishtip, 27 tetor 2025 (MIA) - Në raundin e parë koalicioni i udhëhequr nga VMRO-DPMNE fito...

Kurti: Nuk ka opsion tjetër përveç zgjedhjeve të reja parlamentare në Kosovë

Kurti: Nuk ka opsion tjetër përveç zgjedhjeve të reja parlamentare në Kosovë

 Prishtinë, 27 tetor 2025 (MIA) - Kryeministri në detyrë i Kosovës, Albin Kurti, sot deklaroi s...

KSHZ nesër do të shpallë rezultatet e plota përfundimtare të votimit në të gjitha komunat, shkarkohen këshillat zgjedhore në dy vendvotime në Shuto Orizare

KSHZ nesër do të shpallë rezultatet e plota përfundimtare të votimit në të gjitha komunat, shkarkohen këshillat zgjedhore në dy vendvotime në Shuto Or...

Shkup, 27 tetor 2025 (MIA) - Komisioni Shtetëror i Zgjedhjeve (KSHZ) nesër do të shpallë rezultatet...

Filipçe: Pushteti për një vit e gjysmë nuk i ka përmbushur premtimet ndaj qytetarëve

Filipçe: Pushteti për një vit e gjysmë nuk i ka përmbushur premtimet ndaj qytetarëve

 Shkup, 27 tetor 2025 (MIA) - Pyetja e vërtetë që duhet të përgjigjet dhe analizohet është se Q...

Armenia hap rrugë tranziti për kamionët e Azerbajxhanit në Turqi

Armenia hap rrugë tranziti për kamionët e Azerbajxhanit në Turqi

 Jerevan, 27 tetor 2025 (MIA) - Qeveria armene sot hapi kufijtë e saj për kamionët azerbajxhana...

Reagim – Aleanca Kombëtare për Integrim (AKI) – Dega Gostivar

Reagim – Aleanca Kombëtare për Integrim (AKI) – Dega Gostivar

Shkup, 27 tetor 2025 Aleanca Kombëtare për Integrim (AKI) – Dega e Gostivarit reagon pas ven...

Ministri Aliu: Po punojmë në përmirësimin e sistemit të specializimeve dhe nën-specializimeve në shëndetësi

Ministri Aliu: Po punojmë në përmirësimin e sistemit të specializimeve dhe nën-specializimeve në shëndetësi

Shkup, 27 tetor 2025 (MIA) - Rishikimin dhe përmirësimin e strukturës, kohëzgjatjes dhe përmbajtjes...

MIA Flesh

MIA Flesh

18:00/ 27 tetor/ 2025 Shkup - Presidentja, Gordana Siljanovska Davkova sot...

Fidani  kërkoi nga autoritetet malazeze t'i mbrojnë të drejtat e shtetasve turq

Fidani kërkoi nga autoritetet malazeze t'i mbrojnë të drejtat e shtetasve turq

 Ankara, 27 tetor 2025 (MIA) - Shefi i diplomacisë turke Hakan Fidan sot zhvilloi një bisedë te...

Tryezë e rrumbullakët: Me tempon e tanishme të

Tryezë e rrumbullakët: Me tempon e tanishme të "mbylljes" së hendekut gjinor, Maqedonisë do t'i nevojiten 57 vite të arrihet barazia gjinore

Shkup, 27 tetor 2025 (MIA) - Gratë në Maqedoni ende shihen si dikush që duhet të kujdeset për f...

Takim i Siljanovska Davkovës me profesorët Martinovski dhe Koneski

Takim i Siljanovska Davkovës me profesorët Martinovski dhe Koneski

Shkup, 27 tetor 2025 (MIA) - Presidentja, Gordana Siljanovska Davkova sot e ka pritur prof.de. Vladi...

Zaharova: Sanksionet perëndimore janë një mekanizëm për presion sistemik ndaj Rusisë

Zaharova: Sanksionet perëndimore janë një mekanizëm për presion sistemik ndaj Rusisë

 Moskë, 27 tetor 2025 (MIA) - Zëdhënësja e Ministrisë ruse të Punëve të Jashtme, Maria Zaharova...

Trampi për Rusinë: Kemi një nëndetëse bërthamore pranë brigjeve të tyre, nuk kemi nevojë të qëllojmë nga distanca

Trampi për Rusinë: Kemi një nëndetëse bërthamore pranë brigjeve të tyre, nuk kemi nevojë të qëllojmë nga distanca

Uashington, 27 tetor 2025 (MIA) - Presidenti amerikan, Donald Tramp, potencoi se Uashingtoni "nuk po...

Image

QËNDRONI TË LIDHUR